Update 2018: I came back to Cozumel for a 3rd time in May, 2018 and absolutely loved my third visit. It really changed my view of the island, especially the new dive shop I dove with. I’ve incorporated all the changes into this post. Enjoy Cozumel!
Cozumel is a Mexican island in the Caribbean Sea that blends beautiful white-sand beaches with a dense jungle interior. It has all the luxury resorts and lively nightlife one would expect of a Caribbean island, along with the excellent food and endless Margaritas that come with travel in Mexico.
There are also interesting Mayan ruins on the island itself, and the dramatic Mayan city of Tulum is situated just across the water on the mainland. Cozumel is especially well-known for its diving and snorkeling, with easy access to some of the most spectacular underwater terrain and marine life in the Western Hemisphere.
This was part of my two week Mexico-Belize Itinerary.

I visited Cozumel almost solely for the diving. As a destination, it’s not the first place on my list of places to visit. In fact, the Caribbean as a whole is not a place I have much affinity towards. Most of it is jam packed full of tourists, all-inclusive resorts, and Middle America cruise ships. If you’ve read any part of my blog at all, it’s easy to see this is not how I like to travel. Nevertheless, diving is one of my favorite hobbies, and I can’t just pick up and go to Mozambique whenever I want. Nor can I charter my own yacht to find the less traveled parts of the Caribbean.

I spent a few weeks in Honduras on the diving island of Utila and very much enjoyed it. The food however, was so awful (diving was great), that I just wasn’t enthused by the thought of re-visiting. Other less known places like Bonaire are supposed to have great diving but flights are nearing the 4 digit range and have numerous layovers making it a difficult destination to casually visit.
Upon the recommendation of some of the divers I met in Honduras, I figured I’d give Cozumel a shot. It’s purported to have great diving and I’m a big fan of Mexican food so there is promise.

Use pesos when in Mexico
I’ll keep this brief and to the point. USE MEXICAN PESOS when in Cozumel. Cozumel is a very developed and touristy island and 90% of its tourists are from America. Anyone reading this, Americans included, can all agree that Americans are not the most intelligent of travelers. The Mexicans know this and offer up prices in US Dollars and Mexican pesos, leaving the choice in the hands of the tourist.
Thing is, 90% of the American tourists have no idea what the official exchange rate is and the Mexicans will take advantage of that fact and offer up ridiculously unfavorable exchange rates. For example, the exchange rate was about 15 pesos to $1 when I visited. If I went to the ATM to withdraw cash, I would get very close to this exchange rate. Restaurants, shops, and bars mostly have menus in pesos.
If you asked to pay in dollars, they would convert their prices at say 12 pesos to $1, 20% more expensive. Also, the symbol for pesos is also the $ sign so do not be tricked into thinking a peso price actually means US dollars.

So if I was at a restaurant and the bill came to be 450 pesos, I would be paying 450 / 15 = $30, whereas the rookie American tourist that pays in dollars would be paying 450 / 12 = $37.5. The Mexican vendor would gladly accept the dollars, and laugh all the way to the bank where he changes it back to pesos at a higher exchange rate.
I saw this all day every day while in Cozumel. There were plenty of times I wanted to say something: “Yo idiot, that’s not the exchange rate. They’re ripping you off”, but I just refrained because it was likely just a lost cause.
Cozumel is actually kind of amazing…except
The cruise ships. If cruise ships were just not a thing, I would be totally ok. Aside from that and the crowds that cruise ships attract, Cozumel is actually great. It’s a very picturesque island with great diving, and some of the best Mexican food you can eat.
Cozumel was never built as a budget destination like Utila or Caye Caulker. The Mexican Government decided it’s more lucrative to target the all inclusive family goers. Nevertheless, there are many ways to stay cheaply on this island. Airbnb has really added some serious supply of amazing accommodation at cheap prices. With all the amazing Taquerias on the island, there is honestly no reason to stay at an all inclusive hotel.

I have been to Cozumel three times now. The first two times I stayed at a hotel, and the third time I rented a two bedroom condo with a balcony with 3 other people. I would definitely recommend the latter route! Just rent a car or scooter, and DIY around the island.
Airbnb in Cozumel
There is no shortage of amazing options on Airbnb in Cozumel. With another couple, we stayed in this absolutely stunning two bedroom condo with a huge balcony overlooking the ocean. The balcony was amazing and we had drinks on it while watching the sunset every night. It was $200 a night which split among 4 people is very reasonable. There are tons of options further into town that I found for even cheaper (below $100 for 4 people)


Getting to Cozumel
As Cozumel is an island, there are essentially two days of getting to Cozumel; plane and boat. By plane, there are direct flights from places like Houston, Dallas, Miami, Cancun, Mexico city etc. From New York, I usually fly to Houston and transfer to Cozumel (about 7 hours total). The longer, and not as economical as you’d think approach is to fly into Cancun, take a taxi or ADO bus southward to Playa Del Carmen, and then ferry across (~45 minutes) to Cozumel.
From Chetumal on the Mexico-Belize border, take the ADO bus that stops at Balacar, Tulum, and finally Playa Del Carmen.
Playa Del Carmen to Cozumel Ferry
There are two ferry companies in Playa Del Carmen and both are around the same price (~150 pesos one way). The yellow and blue Ultracar ferry is more modern and has more outdoor seating. It is slightly more expensive than the other option.
The ferry from Playa Del Carmen to Cozumel run every hour on the hour from both Playa and Cozumel. The last boat departs at 10pm.
Getting around Cozumel
Cozumel is actually quite a large island. There are plenty of taxis available and the rates are somewhat pre-set, although there is no official meters anywhere. For the most part, paying for taxis will be enough for most. However, if you want to explore the island and visit the Eastern side of the island, you’ll need a car or scooter.
Catching a taxi on the island

For those like myself that elect to fly into Cozumel airport, getting a taxi is tricky. Technically, the taxis in Cozumel are NOT allowed to pick up people from the airport. Only shuttles from hotels, resorts, or tourist companies are allowed to do this. There will be plenty of people upon exiting customs offering you taxis are outrageous rates ($20-30) and they’ll tell you it is the only way to get to the city.
Avoid these people completely, head to the ATM to grab some pesos, and then walk outside of the airport. Literally walk outside of the airport parking lot to the main road. It is here that you can find real taxis. It might feel a little strange to be standing on the side of the road but this is the only way to hail a local taxi. We just stood on the corner with our bags, looking like tourists and a taxi eventually came up. Negotiate a rate here. I paid about 110 pesos ($5) to get to the city center.
Renting a car or scooter in Cozumel
Renting a car in Cozumel is very easy. There are numerous car rental agencies like Avis, Hertz, and Thrifty on the island. There are also smaller shops like Rentadora and my personal favorite, Carflex. There’s no need to book a car rental before coming here and no need to rent it from the airport. There are numerous shops in town that will rent you a car on the spot. Most of them will even deliver the car to your accommodation.
I ended up renting a car with Carflex for $43 a day. This is the all in price which includes insurance and taxes. Alternatively, if you’re just one or two people, a scooter can be rented just about anywhere for $20-25 a day.

Diving in Cozumel
Ah finally, to the important stuff. The diving here is the main draw for me. Cozumel is among the Western Hemisphere’s best scuba diving destinations, with miles of crystal clear water containing a myriad of marine life. This sea life is particularly concentrated among the giant reefs situated just offshore, including a stretch of the 175-mile-long Mesoamerican Barrier Reef, possibly the second-largest contiguous coral reef in the world. Many companies offer tours out to such spots, as well as snorkeling. While the diving doesn’t compare to places like Northern Mozambique, nor is it as cheap as Honduras or Dahab, it is still well above average.

Cozumel has year round diving and water temperatures stay warm throughout. I came in Feb and the water temps were 25c (77 f), and again in July where temps were 29 c (82 f). The only time that is questionable is in Sep-Nov during the Hurricane season.



Cost of Diving

Generally, a dive in Cozumel is about $40-50, and this does NOT include equipment, another $10-20 a day. There’s about 100 different dive operators on this island and after extensive research, almost all the shops charge the same prices. Most shops will give discounts if you’re diving for multiple days as well. I did four days of two-tank dives that equaled to be about $35 a dive WITH equipment included. The operators I dove with were Dive with Martin and Scuba Mau.
Both operators were good but I couldn’t help but feel like Cozumel diving is just pure business. Perhaps that’s just the nature of the island as it’s more of a vacation spot. When I was diving in Honduras and Dahab, I felt like I was in a diving community where it was about the experience and people first, and the business part of diving was second. Nevertheless, I have nothing bad to say about the two operators I went with.

Diving with Scuba Life Cozumel – Updated May 2018
So I wasn’t that impressed with the dive operators from my first two visits to the island. I felt like they were too much in the money making business of diving. Having worked in the dive industry before, yes money is important but that’s not what you should be portraying to your customers.
After some research for round 3 of Cozumel, I found Scuba Life Cozumel. They had 5* ratings on every single review on TripAdvisor so naturally I thought this to be suspect. After spending a few days with them, I stand corrected. They deserve every bit of their rating!

Carlos and JP, the co-owners of this shop really embody what it means to run a dive shop. I could see that they really enjoyed what they did and made sure that passion was passed on to their customers in the best of ways. Carlos was also the instructor for two friends doing their open water course. He was an absolute professional and my friends raved about his calmness and demeanor.

They also had a great boat crew, and would always serve fresh fruits in between dive which was perfect. Would definitely dive with them again when I return to Cozumel!
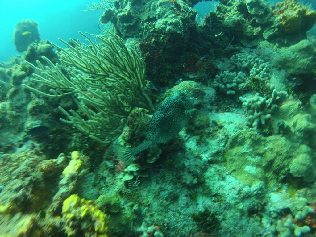
The Dive Sites in Cozumel
Cozumel is great for its reefs. There are corals abound and marine life aplenty. Turtles, nurse sharks, moray eels, eagle rays, and all sorts of other marine life were common. There’s no big game here unfortunately. There are many wall dives as well and it’s consistently rated as one of the best places to dive in the Caribbean and I can see why. All the diving here are drift dives, so it’s like you’re getting a “free ride” as the current takes you through the dive site. You do very little work, and therefore can conserve more air and enjoy longer dive times. My favorite sites in order are:













- Palancar
- Caves
- Gardens
- Bricks
- Horseshoe
- Columbia Wall
- Santa Rosa Wall
- Paradise
- Punta Tunich
Advanced Sites:
- Punta Sur
- Barracuda
- Maracaibo







A Clip of us diving!
Where to eat in Cozumel (Prices as of May 2018)
The food on Cozumel is absolutely fantastic; there are hundreds of restaurants here. Mexican food lovers rejoice because there are a ton of restaurants on this island for very cheap prices. Right off the bat, steer clear from all the tourist restaurants. Which ones are tourist restaurants? Pretty much anything that you’ve heard of before (Hooters, Pizza hut etc), all restaurants on the main road by the water, and pretty much any restaurant that has more Americans than locals. These restaurants will be serving mostly mediocre Tex-mex, and overpriced foods. Ignore. Move on. Stay the hell away from it.
All the good stuff is inland where the locals live. Not only is the food 1000000x better, but the prices are incredibly cheap as they cater to locals. The food is served fresh and there is ALWAYS numerous levels of spicy salsas. Heaven for me. If you like spicy food, Mexico is does NOT disappoint. The restaurants in Cozumel all provided more than enough heat for a spice lover like myself. Yes, the inner part of Cozumel isn’t as tourist developed as the main strip but it’s completely safe. This island brings so much tourist revenue, the government wouldn’t dare let anything happen.
Los Otates

The taquerias are where abundant on this island and offer some of the best of Mexico’s cuisine. Los Otates was one of my favorite taquerias and we ate here numerous times. Located about 10 minutes walking from the main tourist road, this place is a proper shack. It is not the most inviting of places, but are you here to eat or be pampered? If it’s to eat, this is the place to go. The tacos are fresh, the horchada is cold, and most of all, the habenero salsa is SPICY.
The Al Pastor taco (pork loin) is only 12 pesos and the other tacos range from 15-25 pesos. They are also well known for their Pozole, an authentic Mexican soup dish of pork, hominy (similar to corn?), onions, and other things. We ate here numerous times and for 3 people, would spend around 400 pesos.
El Pique
Another taqueria closer to the tourist streets but very much a local type spot. This place has delicious horchada, always available when I went, and the tacos are delicious as well.
Machete

Another taqueria on the tourist strip, this place is the taqueria for the tourists that aren’t adventurous enough to venture inland, but do not want to dine at the tourist trap restaurants. I actually thought it was a really damn good taqueria. The tacos are big, meaty, and well priced. Make sure to try the Lengua (cow tongue) taco here. It might sound unappealing but I can vouch that cow tongue tacos were the best tacos we ate on the island.
Mister Taco
Do you want the best Tacos Al Pastor? This is the best to go. A local hangout with a sprinkle of tourists, this place churns out Tacos Al Pastor with its two spit roasts like there’s no tomorrow. This is perhaps my favorite Pastor on the island. At 13 pesos a taco (As of May 2018), it’s hard to go wrong here.

El Foco
A real locals spot, this place is far inland and is probably 95% locals. The El Pastor tacos are fantastic here and the prices again are all reasonable. Dinner for 2 should be no more than 250 pesos (~$15)
La Hach Restaurant

For fish tacos, this was the best place I could find. Located on the beach a little outside the main part of town, we would come here routinely after our dives to gorge on some fish tacos. This was the only place I could find grilled fish tacos, as most other places preferred fried. They also include guacamole with the tacos which was a nice mix to the fish and salsa. Make sure to ask for it lightly salted however.
Diego’s Tacos

Located literally right outside of the airport, we always come here when we land, and before we go. It’s literally not even 5 minutes from the airport. The tacos are fantastic here and it’s just great to start the trip with some delicious tacos and end them as well.
Lobster Shack

Fantastic Lobster rolls freshly caught from the ocean. Located right in the middle of town and although more expensive than the tacos around town, it’s well worth it for a splurge (~300 pesos or so). Get the surf and turf (Arrachera + Lobster) in the buritto form and prepare to be amazed. This was one of the best things I’ve ever eaten. At less than 300 pesos, it is a steal for lobster and steak.
El Billy’s Asados Al Carbon

It’s clear I love my tacos. I ate them every day for lunch and dinner and had no problems whatsoever. It’s delicious, cheap, not so heavy, and spicy. The perfect post-diving food. However, I was told about this asado (spanish for BBQ) by a fellow diver and it sounded amazing. It’s far inland so a cab or scooter rental is advisable. Nevertheless, THIS is the place for anyone wanting some serious meat. They do not mess around here and they have 4 giant grills going on at the same time, grilling out chicken, pork, chorizo, and steak.
This is definitely a locals jaunt for sure but in the best of ways. It’s a bit of a dive but the people are very friendly and I mean you’re here to eat meat. It’s damn good at doing that. We got the sampler plate with a whole chicken, pork chops, chorizos, and taco shells (along with their very delicious spicy salsa). I’d highly recommend the chicken here as it is absolutely fantastic. Actually, don’t bother getting anything besides the chicken. Prices are very cheap as well (90 pesos for half chicken).

Kondesa
I never actually went here but this is a fine dining restaurant near the water that has very favorable reviews on TripAdvisor. We thought about going as it got such good reviews, the pictures looked tasty, and the setting seemed nice. Then we just thought about all the amazing options we had with tacos and meat, and thought is there any reason to go to this expensive restaurant that is 100% tourists? The answer was no. However, for those looking for a more romantic and less rustic experience, this place looked very good.
What else to do in Cozumel?
The Beach
Well this one is a bit of a no brainer. There’s always a visit to the beach if you’re bored. The most tropical of beaches are on the southwest side of the island, where all the all inclusive resorts are naturally. I went to Punta Sur on the south side to check out the beaches. They aren’t bad but expect to see plenty of tourists sunbathing here. The water also wasn’t as clear as I thought it’d be. Playa Del Carmen on the mainland had better looking beaches in my opinion, but was also 5x more crowded. Unless you’re staying in the southern parts, you’ll need a car to reach these beaches.
Take a drive around the island

Most of the Cozumel’s action is on its Western coastline. All the beaches, dive sites, and city is concentrated on this side. The eastern coast however, boasts something completely different and awesome. The scene is much more chilled out, the waves are more intense, and it is largely devoid of people. The beaches on the east side are not as tropical as they are Mediterranean. The scenery vaguely reminds me of some of the beaches along the Garden Route in South Africa.

We rented a car, paying about $50 for the day, and drove around the island to check out the other side. There are some cool bars scattered along the coastline, my favorite being Bob Marley’s bar and Punta Morena for its most amazing hammocks and beach. For those that don’t have time to go to Tulum or Chitzen Itza, there are Mayan ruins on Cozumel as well at San Gervasio. Not as large or as dramatic as the ones on the mainland, it is still something cool to see. It takes about 1.5 hours to drive around the entire island of Cozumel (without stopping).

Day Trip From Cozumel to Tulum
Those not so into diving, Cozumel is still a great place to chill out at, do some snorkeling, and eat some tacos. Mexico is famous for its Mayan ruins, three in particular that are close to Cozumel are Tulum, Chichen Itza, and Coba. The former is much easier to get to but the latter is far more impressive. I elected to visit Tulum as it was a quicker, easier day trip from Cozumel.

From Cozumel, we caught the ferry to Playa Del Carmen, then took a taxi colectivo, which is Mexico’s version of the group van taxi. These vans are quite nice in comparison to some of the group taxis I’ve taken in Africa, although not as nice as the ones I took in Turkey. The collectivos can be found in Playa Del Carmen, outside of the tourist central pier area. We just asked the locals and were pointed in the general direction. Those not keen for this experience can take the Ado bus (departs 8:30am and 12:30pm), or just take a regular taxi. The collectivos are much cheaper however (30 pesos one way).

They dropped us off at the entrance of Tulum (about 45 minutes driving) and we walked the rest of the way to the entrance of the ruins. There will be people trying to sell you entrance tickets ($10, even $15 I was quoted!) and naturally just ignore them because you can buy tickets at the entrance of the ruins for only 70 pesos.
The ruins are beautiful and ever so scenic as it is right on the beach overlooking the Caribbean. There’s not a whole lot to see, and I thought we’d be able to climb up one of the pyramids but they’re all fenced off. When we went in February, the high season for this region, it was absolutely packed. There were thousands of people in this place and tour groups everywhere. I suppose I left a bit unimpressed as I was really hoping to climb the Mayan pyramids. As far as pyramids go, I had just visited the Pyramids of Giza, and Petra so obviously Tulum does not compare to those, and while the beach in Tulum is nice, it doesn’t compare to the beaches I saw in Africa. Nevertheless, this is a great day trip for people staying in Cozumel!








Hey man, all of the ads on your blog make scrolling and reading impossible. Your information is unreadable.
My wife and I visited Cozumel for a few days last month, and we long to go back there. I loved it, I stayed at this all-inclusive , we had a great time. Most of all, the all-inclusive resort gave us the opportunity to see the local tourist attractions in Cozumel.
Thanks for the post and advice. Can you believe people are still reading this after 4 years? Ha.
Haha why not?
I enjoyed your blog. It has great content and useful information. I’ve been to Cozumel twice and would love to go again. Whenever you visit Austin Texas, be sure to check my blogs for things to do. https://nautisideboatrentals.com/blogs/
Hey! Great write up! Guessing since you went back to Cozumel, between the Bay Islands and Cozumel, you preferred the diving in Coz? Trying to decide between Roatan and Cozumel/Tulum for a trip. Having only dived in SE Asia, I’m trying to temper my expectations for the Caribbean. Have you dove any of the caves in Tulum?
Hi Esther! The diving in Utila was okay but nothing to highlight. The vibe is quite fun if you’re young and into a good party after dives. It’s also significantly cheaper than Mexico. Cozumel is a bit more laid back but is still cruise ship and all inclusive capital but there are places you can go to avoid the crowds.
If I had to pick between Cozumel and the Bay islands for diving specifically, I’d probably take Cozumel. There’s a bit more life there plus you have Playa Del Carmen with the bull sharks, and the amazing cenotes in Tulum nearby.
lastly, definitely temper your expectations if you’ve done lots of diving in SE Asia. The marine life just isn’t as abundant in the Caribbean and the corals are not as colorful (with the exception of Little Cayman).
Hey! I’m so excited to have found your travel blog! I’m planning a trip to Cozumel right now – thinking it’ll be a combination of diving and beaches, so determining if my lodging location matters to be near the nice beaches.
On Honduras, I stayed in Roatan so I def understand your sentiment on it getting taken over.
I’m still mostly spoiled on diving from learning in Asia. I’ve enjoyed Belize and Turks & Caicos and Roatan, but my best dives wouldn’t even be top 10 compared to the ones I did in Borneo (Sipadan!) and the Similan Islands. These dives have great visibility but a lot less fish and no large fish or sharks. How have you felt?
Hi Todd, the side with all the diving in Cozumel doesn’t really have much beach. The otherwise of Cozumel is where all the nice sandy beaches are but it is a drive to the dive shops. As for overall diving, I definitely agree with you in that the diving in the caribbean does not compare to the diving in SE Asia. I foudn Little Cayman to be the best I’ve seen in the Caribbean. Sipadan was an amazing dive site for sure but you should look into going to Komodo, Indonesia for your next trip :). That is where I did my DMT and the diving there is absolutely out of this world. Also Egypt’s Red Sea has some fantastic diving as well. Better than the Caribbean for sure (not to mention hell of a lot cheaper too)!
Hello! I’v been reading your post’s on diving in Cozumel and Utila and I’m looking for a little help in deciding between the two for my divemaster internship. Can you tell me a little bit about each of them and which one is better in your opinion? From research and what I’v read the diving in both places seem to be about the same. Is that true? How is the environment in each of them? I know they both will be touristy, but I am looking for a more authentic vibe and the least amount of tourists as possible. You mentioned the food was a big deal breaker in Utila, can you explain that a little more? It appears Cozumel is a major cruise hub, can you get away from that and interact with travelers that will be on island for more than just a day? How is the party atmosphere? I’ve heard Utila is somewhat of a hippy backpacker island, is that true or what is the overall vibe? I know this is a lot and I would be very appreciative if you could answer all these questions and just tell me about your experience.
Thanks so much,
Ben
Hi Ben! Great question. Both places had their pros and cons and it’s a tough tough decision for me. Utila vs Cozumel as far as diving goes is about the same (maybe a slight edge to Cozumel).
Because you’re planning on doing your DMT, I think I’d rather recommend Utila. Utila is one of the most popular and best places in the world to get your professional PADI certifications. Many people here are semi-serious to serious divers looking to get their DMTs and Instructors and the vibe of the island is dive focused so I think you’d get the best instruction here. Yes the food is terrible, but perhaps that’s just my opinion and you might like it! There is a party scene for sure but it’s nothing you can’t avoid if you don’t want to partake.
Cozumel on the other hand is chalk full of amazing food. If you like spicy food and tacos, you can get El Pastor tacos for 10-15 pesos each with horchada, margaritas, and guacamole too. Cozumel hands down wins in food but the vibe is near non-existent. It’s an island that is built for middle American tourists and cruise shippers. Most of the accommodations here are resorts catering to the all-inclusive seeking families so there is little to no “Dive culture” vibe here.
All in all, a tough decision but let me know what you decide and if you have more questions!
Why didn’t you like the food in utila? What type of cuisine was it and how expensive was an average meal?
Honduran cuisine isn’t the most exciting of cuisines. Baleada’s are good for a few days but you get sick of them quickly. I didn’t even get much exposure to Honduran cuisine because Utila is a diver’s island, and there isn’t much local food to begin with. It’s mostly Western style bars offering burgers and pizzas, at prices that I wouldn’t consider overly cheap ($10-15 for a decent dinner).
For comparison, in Cozumel I could get El pastor tacos with habanero salsa and limes for 10 pesos each ($0.50), or get some smoked chicken at Asadero el Billy for 40 pesos.
Great post, it has been a long time since I have been to Cozumel but it remains one of the top places I have dove, just loved it. Thanks for bringing back some great memories !
Hey Kelly, that’s why I went twice :). Nice blog btw, I see you live in SA too. You must go to Sodwana Bay if you get the chance, or Aliwal Shoal to dive with the sharks (without a cage)!
Thanks Johnny ! Those are both definitely on the to-do list !